PIB East and Spring Hill Sidewalks This project consists of 1694 feet of sidewalk on PIB and 588 feet on Spring Hill. It also included installation of guardrail, a new traffic control loop and stormwater infrastructure. The project was completed by the city’s contractor, R&B Developer, Inc. in November at a cost of $586,659 and was funded exclusively by the SPLOST program.

Highway 20 Greenway Trail Bridge Bridge design, permitting and bid phases were completed in 2023 and 2024. The contract has been awarded to Ohmshiv Construction, LLC. A pre-construction meeting was held on November 19, 2024. Work to place the utilities underground is substantially complete. Construction on the ramp portion of the bridge on the South side is in process with the bents (support structures) substantially complete. Brick will be placed around the concrete to add the architectural finishes to this side. Work to accomplish this has been completed. The embankment to build the trail from the elevated structure to the ground will begin soon. After that, concrete beams will be placed on the supports. Work should also begin in December on the North side ramp. The anticipated completion date is 2026 due to delays with utility relocation and right-of-way clearance from the Ackerman/Novare project.



Downtown Greenway/LCI Project The trail connection from Highway 20 at PIB to the downtown pedestrian bridge and is funded by the LCI (Livable Centers Initiative) program administered by Georgia DOT. Since this project is funded by a grant from the Federal Highway Administration via LCI/GDOT, the process is a little different. The design firm was selected in coordination with GDOT. The project will provide an urban greenway connection from PIB/20 to Alton Tucker and then back to Highway 20. The timeline for construction and final alignment will be determined once we have the design finished. A design contract has been finalized with Keck & Wood. Work on an alternatives analysis is underway and several are being proposed for consideration by GDOT and the project management team.

Northside Greenway As part of their developments, Novare Sugar Hill, The Refinery by Prestwick and Hillcrest Landing have constructed segments of the Greenway to the North of Hwy 20 and along Hillcrest Dr. This will consist of a winding segment from Stanley St. through their developments and connecting to the sidewalk on Hillcrest Dr. at Brookdale Dr. Solar lighting was recently installed on the Novare portion and is complete. Staff recently explored an area north of this to determine the feasibility of winding the trail through the woods to Richland Creek. We are working with the design team to come up with a cost-effective and efficient route. Design work is now underway with the alignment selected. We also have begun discussions for easements and ROW for the trail.


Application for Stormwater Hazard Mitigation Grant We are in the process of applying for grant funds to address some areas of Richland Creek that are being eroded by stormwater surges. We anticipate using a similar solution to the one recently completed at the bridge in Gary Pirkle Park. We will have a better idea of the timeline for this project after the grant is awarded.

Highway 20 widening The Highway 20 widening from Buford Highway to Peachtree Industrial Boulevard is now closing in on a year of construction. This project will also include an enhanced sidewalk along the South side of Hwy 20 that will connect to the Downtown Greenway/ LCI project. ER Snell, the state’s contractor, is also working in the area of the bridge over the Railroad, construction supports for the widening of the roadway above. Railroad Avenue under the work area is closed to traffic during this work.

Ridge Lake Park Phase II Design is complete on a playground and other amenities at the new park. An RFP package has been issued to find a partner to Design/Build the playground. Proposals were received on August 7 and staff selected three designs for a “short list.” Updates have been made to the design, based on Council input, and a larger footprint with more play equipment being proposed. Equipment should be arriving December 8.


E Center Renovations Based on user and operational requests, we have started design work on several areas of the E Center. New HVAC systems have been installed and are operational. Based on user input, our design team is exploring options to provide shading to the promenade and 39th street. This will create a more comfortable environment for citizens during the heat of the summer months. To enhance safety and security, our design team is working on upgrades to the door hardware, egress and life safety pathways and methods to ensure the building can be secured at night and in the event of an emergency. We will be able to determine a delivery schedule once design elements are approved.
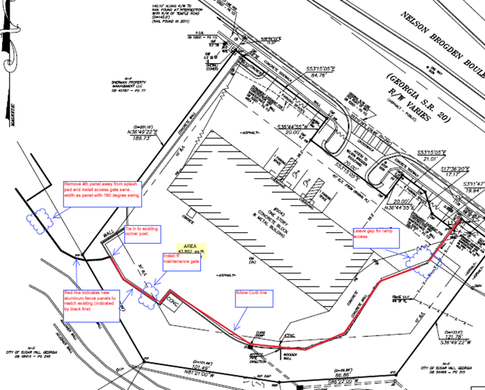
Cemetery Fencing/ Atlas Parking Lot Fencing Hasbun, the city’s contractor, will be installing and improving the cemetery fencing as well as portions of the old Atlas parking lot on highway 20. Vinyl-coated chain-link in the wooded sections, brick columns, ornamental aluminum picket fence will be added, intended to match the ones on West Broad. The anticipated completion date is end of 2025. Several more brick columns have been added and aluminum picket panels that will match the ones on West Broad will be installed in the next two weeks. Fencing will also be installed in the Atlas parking lot. Work is ongoing and the anticipated completion date is the end of 2025.




Golf Course Irrigation System Improvements In addition to a new pump system, a new irrigation pump house is being constructed near hole number 5 to replace one that had failed structurally. The demolition was completed in house and a contractor is building the new one. This project should be completed by the end of the year.






